
227 P, Black Butte CA 93591 | $12,500
Status: ActiveListing provided courtesy of Scott Vu of Nexus Commercial. Last updated 2025-12-28 09:20:49.000000. Listing information © 2025 SANDICOR.
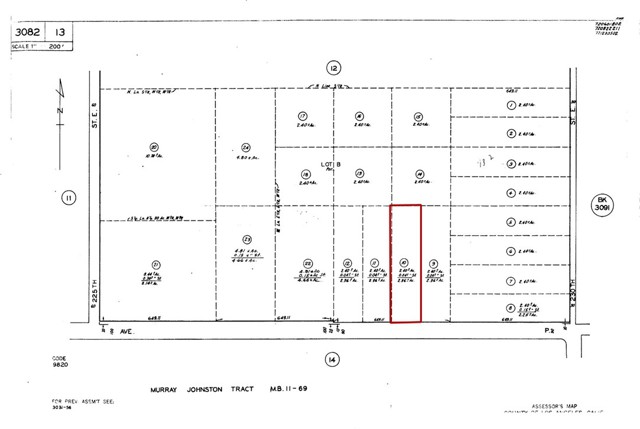
Discover a rare 2.46-acre flat residential parcel in unincorporated Los Angeles County, zoned LCA22 (APN: 3082-013-010), ideally positioned at the corner of East Avenue P and 230th Street. Located in the Black Butte area just east of Lake Los Angeles, this property combines wide-open space with excellent regional access—less than 12 miles to Palmdale, approximately 3 miles from Gray Butte Field Airport, minutes from the Carl O Gerhardy Wildlife Sanctuary and Camp Mirage (Adelanto), and about 7 miles north of SR-138 for convenient commuting and connectivity.
With its level topography and generous acreage, this parcel is well-suited for future residential development or long-term investment. Enjoy a peaceful, rural setting while remaining close to key infrastructure and growing High Desert communities. An excellent opportunity to secure land in a steadily developing area of Los Angeles County.
More Details
2.46 Acres

Holly & Heather Manion
Call: 858.756.3007
Thank you!

























